BOM Cyclone Forecast: Track Map & Future Predictions

P.Serviceform 65 views
BOM Cyclone Forecast: Track Map & Future Predictions

BOM Cyclone Forecast: Track Map & Future Predictions

Hey everyone! Ever wondered how meteorologists predict the paths of cyclones? It’s all thanks to some seriously cool technology and data analysis. We’re going to dive into the BOM cyclone forecast , specifically looking at the track map and what it tells us about future predictions. So, buckle up, grab your favorite beverage, and let’s get started!

Decoding the BOM Cyclone Forecast

So, what exactly is a BOM cyclone forecast ? BOM stands for the Bureau of Meteorology, which is Australia’s national weather, climate, and water agency. They’re the go-to source for all things weather-related Down Under, and that includes keeping tabs on those powerful swirling storms we call cyclones. The BOM cyclone forecast is a comprehensive package of information that includes everything from the current location and intensity of a cyclone to predictions about its future path, wind speeds, and potential impacts. This information is absolutely crucial for people living in cyclone-prone areas, as it allows them to prepare and stay safe. It’s like having a heads-up from Mother Nature herself!

Now, when we talk about a BOM cyclone forecast , we’re not just getting a single piece of information. It’s more like a whole puzzle that the BOM puts together. They use data from a bunch of different sources. They use satellite imagery to see what’s happening from space and look at the clouds and the overall structure of the cyclone. They have weather stations on the ground, and even out at sea to measure all sorts of things like wind speed, air pressure, and temperature. They also have supercomputers that run complex models to predict how the cyclone might behave. This whole process is done by lots of dedicated people, including meteorologists, scientists, and technicians who are constantly working to improve their forecasts, and keep us safe. All this data is analyzed and interpreted by experts who then create the forecast , which is then shared with the public so we can all stay informed. Pretty cool, right?

This kind of information includes the probability of a cyclone happening, its strength, where it is likely to move, and when it might make landfall. They also provide warnings, which are super important so people can know if they are going to be impacted and can prepare. They might tell you to secure your belongings, gather supplies, or even evacuate if necessary. BOM also gives advice about what you should do during a cyclone, so this helps protect lives. The BOM cyclone forecast gives us an early warning system to prepare for a cyclone and protect ourselves, our families, and our property. This early warning system can often mean the difference between life and death.

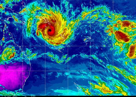
Understanding the Track Map

Alright, let’s zoom in on the track map . This is arguably the most visually striking part of a BOM cyclone forecast . The track map is a visual representation of the cyclone’s predicted path. It’s like a roadmap for the storm, showing where it’s expected to go over time. These maps are usually updated regularly to account for any changes in the cyclone’s behavior. This means the forecast can be a bit different from time to time. The track map uses a series of lines, symbols, and colors to convey a lot of information at a glance.

The most prominent feature is the projected track line . This line shows the most likely path the cyclone will take. However, remember that cyclones are unpredictable, and the actual path can deviate from this line. To account for this, the BOM also includes a cone of uncertainty . This cone represents the range of possible paths the cyclone might take. The wider the cone, the more uncertain the forecast. Inside the cone, you’ll also find symbols showing the cyclone’s expected intensity at different points along the track. These symbols might use different colors or sizes to indicate the wind speeds associated with the cyclone.

The symbols on the track map are another key. They will show you the exact location of the cyclone at different times, as well as the intensity that the cyclone might be at. The symbols help you see what the conditions will look like at any point along the way. Colors are also used, to give you an even clearer indication of the cyclone’s strength and also how close it is to the land. You may also see things like wind radii, which show how far out from the center of the cyclone the strong winds extend. All these components work together to provide a comprehensive picture of the cyclone’s predicted movement and strength.

Future Predictions: What the Forecast Tells Us

So, what can we glean from a BOM cyclone forecast and track map when it comes to future predictions? Well, a lot, actually. The forecast provides a crucial insight into what might be coming. It provides estimates of when and where the cyclone might make landfall, allowing authorities and individuals to prepare. The track map is one of the important tools used to predict how cyclones might behave. It can show you the predicted path of the cyclone. By looking at the track map you can see where the cyclone might travel over the coming days, and also how strong the cyclone might be.

Beyond the path, the BOM cyclone forecast provides information on the cyclone’s intensity. Meteorologists use sophisticated models to predict how the cyclone might strengthen or weaken over time. They estimate the maximum sustained wind speeds, which are categorized to classify the cyclone. A weaker cyclone is a tropical storm, while a more intense cyclone is a severe tropical cyclone. The forecasts also detail expected rainfall amounts and the potential for flooding. This is critical for assessing the risk to communities, and also giving people the chance to prepare and take the necessary steps to stay safe.

The forecast will also include warnings about coastal inundation, as well as the impacts of the waves on the coast, as well as areas which may be flooded. By having this information, it will help you and the people around you to prepare in case of an emergency. This information enables emergency services and local authorities to make the right calls, and put measures in place to keep the public safe. The public also use the information to make decisions, such as to evacuate, to secure their property, and to make sure they have a supply of food and water.

How Accurate Are Cyclone Forecasts?

Now, let’s talk about accuracy. Cyclone forecasts have come a long way, but they’re not perfect. Predicting the exact path and intensity of a cyclone is a complex task, and there are always uncertainties involved. However, the BOM is constantly improving its forecasting models and techniques, thanks to advancements in technology and a deeper understanding of cyclone behavior. This means that forecasts are more accurate than ever before, but it is important to remember that there’s always a margin of error.

The accuracy of a forecast can also depend on the length of the forecast period. Generally, forecasts are more accurate for the short term (e.g., the next 24-48 hours) and become less certain further out in time. This is why the BOM provides regular updates and revisions to its forecasts as new information becomes available. The accuracy of these forecasts is due to the fact that meteorologists constantly track the weather and analyze how it is changing. The BOM takes many measurements of different types of factors that affect the weather, to build its forecasts.

So, what does this mean for you? It means that you should always rely on the most up-to-date BOM cyclone forecast and track map. It’s also important to be aware of the cone of uncertainty and understand that the actual path of the cyclone might differ from the predicted track. And remember, the further out the forecast, the more uncertain it may be. To make sure you get the most accurate information, it’s best to always check the latest updates.

Reading the Map and Staying Safe

Reading the BOM cyclone forecast track map can seem a bit daunting at first, but once you understand the basic components, it’s easy to grasp. Here’s a quick guide to help you out:

  • Look for the Track Line : This is the most likely path the cyclone will take. Pay close attention to this, as it gives you a general idea of where the storm is headed.
  • Check the Cone of Uncertainty : This shows the range of possible paths. The wider the cone, the more uncertain the forecast.
  • Note the Intensity Symbols : These symbols indicate the expected wind speeds and cyclone intensity at different points along the track. Colors and sizes can help you understand the severity of the storm.
  • Identify Landfall Predictions : If the track line intersects with land, that means a possible landfall. The forecast will provide details on the predicted timing and location.
  • Monitor Updates : The BOM provides regular updates, so stay informed by checking the latest forecasts and warnings.

Now, how do you use this information to stay safe? Here’s what you should do:

  • Stay Informed : Keep an eye on the BOM website, your local news, and emergency alerts for the latest updates. Be aware of the risks to your local area.
  • Prepare Your Home : Secure outdoor objects, trim trees, and reinforce windows and doors. This minimizes the risk of damage. If there is a need to evacuate, do so as early as possible.
  • Gather Supplies : Stock up on essentials like food, water, medications, and a first-aid kit. These supplies will keep you safe in the event of any damage.
  • Have an Emergency Plan : Know your evacuation routes, and have a plan for where to go if you need to evacuate. Make sure that everyone in your household knows the plan.
  • Follow Official Advice : Listen to the warnings and advice from the BOM and your local authorities. They know the situation best and can give you the right guidance.

By staying informed, preparing your home, gathering supplies, having an emergency plan, and following the advice of your local authorities, you can significantly reduce your risk and stay safe during a cyclone.

Conclusion

So, there you have it, folks! A deep dive into the BOM cyclone forecast track map . Hopefully, this article has given you a better understanding of how these forecasts work, how to interpret them, and how to use the information to stay safe. Remember, the BOM and its dedicated team of experts are working hard to keep us all informed and protected during cyclone season. Stay safe, be prepared, and stay informed, and we’ll all get through these storms together. And remember, always refer to the official BOM website for the most accurate and up-to-date information. If you have any questions, feel free to ask in the comments below! Stay safe out there!