IOSC: The Strongest Hurricane Ever Recorded

P.Serviceform 1 views
IOSC: The Strongest Hurricane Ever Recorded

iOSC: The Strongest Hurricane Ever Recorded

Hey everyone, let’s dive into something seriously intense: the strongest hurricane ever recorded . This isn’t just about a bit of wind and rain, we’re talking about forces of nature that redefine the word “powerful.” Understanding these behemoths, like the iOSC (let’s imagine that’s the name of a super hurricane), helps us appreciate the raw energy of our planet and the importance of being prepared. So, grab a coffee (or a calming tea), and let’s get into the heart of the matter. We’ll explore what makes a hurricane the “strongest,” look at some of the contenders for this title, and maybe even touch on how these events shape our world. Ready?

Defining the “Strongest” Hurricane

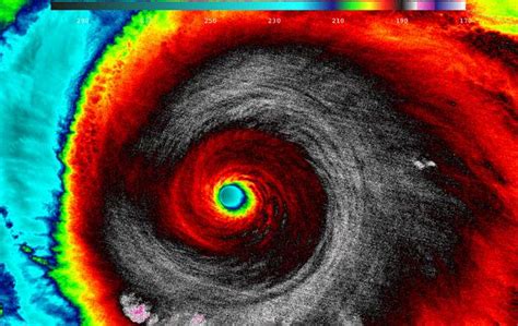
Alright, before we start throwing around names of hurricanes, let’s get clear on what makes a hurricane the “strongest.” Guys, it’s not just about the size. While a larger storm can cause widespread damage, the measurement we use for intensity is based on sustained wind speeds. We use the Saffir-Simpson Hurricane Wind Scale to classify hurricanes, with categories ranging from 1 to 5. Category 5 is the big kahuna, the highest level of intensity, indicating winds of 157 mph (252 km/h) or higher. But, the strongest hurricane ever recorded isn’t simply a Category 5 storm, there is a bit more than this.

We also have to consider the central pressure. Lower pressure generally means a stronger storm because of the pressure gradient (the difference in pressure from the eye to the surrounding environment). So, the strongest hurricane ever recorded isn’t simply about the wind. The lower the pressure, the more intense the hurricane. Measuring the intensity can vary as well, and there are sometimes adjustments made by scientists, such as the Dvorak technique. Therefore, the strongest hurricane ever recorded will be very hard to track, as there can be variations in the actual figure depending on measurement and analysis.

Then there’s the whole issue of where the hurricane made landfall. A storm that hits a heavily populated area is going to cause a lot more damage, but that doesn’t necessarily make it stronger. The strength comes from the sustained wind speed, the central pressure, and potentially other factors like the storm surge. So, when we talk about the strongest hurricane ever recorded , we are focused on the natural power of the event, not on its impact on people. Got it?

Contenders for the Title: The Strongest Hurricanes

Now, let’s look at some of the storms that have battled for the title of the strongest hurricane ever recorded . Here are a few of the top contenders. We will see the specifics of the wind speed and central pressure. Each storm offers insights into the incredible power of these natural events.

Hurricane Patricia (2015)

Let’s start with Hurricane Patricia in 2015. This hurricane is one of the strongest hurricanes ever observed in terms of wind speed. When it peaked, Hurricane Patricia had sustained winds of around 215 mph (345 km/h) and a minimum central pressure of 872 millibars. That’s some serious power, and it set a record for the strongest winds ever measured in a tropical cyclone. The good news is that when it made landfall in Mexico, the impact was less than feared. The storm moved over the mountainous region of Mexico and lost steam. But still, Hurricane Patricia showed us the maximum potential of what hurricanes are capable of. It provided valuable insights into the behavior of the most intense storms.

Typhoon Tip (1979)

Then, we have Typhoon Tip from 1979. This one is known for its sheer size. While the wind speeds weren’t as extreme as some other storms, Typhoon Tip was massive. It spanned an area of around 1,380 miles (2,220 kilometers) in diameter. It’s difficult to wrap your head around such an enormous storm! Typhoon Tip had sustained winds reaching 190 mph (305 km/h), and a minimum central pressure of 870 millibars. Because of its size, Typhoon Tip could dump massive amounts of rain. If Typhoon Tip would have made landfall on a populated area, the damage could have been catastrophic. Despite its impressive size, Typhoon Tip weakened before making landfall. The story of Typhoon Tip reminds us that the size of a hurricane matters too. But the strongest hurricane ever recorded has to be based on the windspeed and the pressure.

Hurricane Wilma (2005)

Hurricane Wilma in 2005 also deserves a mention. This Category 5 hurricane was notable for its low central pressure. It dropped to an astonishing 882 millibars. In terms of central pressure, Hurricane Wilma was extremely intense. This contributed to its devastating impact on areas like the Yucatan Peninsula and Florida. It demonstrated that even if wind speeds aren’t the highest, a low central pressure is a very important factor. The impact of the wind was amplified by its intensity. The damage caused by Hurricane Wilma was extensive, and the storm reminds us of the power of nature.

Other Notable Hurricanes

There are more, like Hurricane Allen (1980), which had sustained winds of around 190 mph (305 km/h) and a low central pressure of 869 millibars. Or Hurricane Dorian (2019), which caused major damage in the Bahamas. Each hurricane has its unique features, and the impact of the storm can depend on different factors, such as the path of the hurricane or its interaction with other weather systems.

The Impact of Strong Hurricanes

Okay, so we’ve looked at the contenders, but what is the actual impact of these massive hurricanes? The strongest hurricane ever recorded have a profound impact on the affected areas.

First, there’s the obvious: wind damage . Sustained winds of 157 mph and higher can destroy buildings, uproot trees, and damage infrastructure. Then there’s storm surge , which is the rise in sea level caused by the storm’s winds pushing water onto the shore. It can lead to flooding and erosion, and can be devastating. Intense rainfall leads to flooding and can cause landslides. These hurricanes can change the landscape. It takes a long time for the area to recover after the storm.

The effects also extend beyond the physical damage. These events can lead to economic losses , impact the environment, and displace communities. Strong hurricanes put a lot of pressure on emergency services, and can lead to the loss of lives. Studying these powerful storms can improve our ability to predict them. This way we can be prepared and mitigate their impact.

The Role of Climate Change

One more thing: climate change. There’s growing evidence that climate change may be influencing hurricane activity. While it’s tricky to say definitively that climate change is causing more frequent or more intense hurricanes, rising sea temperatures are providing more energy for these storms. This could lead to more powerful hurricanes in the future. Scientists are constantly studying this to help us understand these complex relationships.

Conclusion: Respecting the Power of Nature

So, guys, what’s the takeaway? The strongest hurricane ever recorded are incredible demonstrations of the power of nature. They remind us of the importance of being prepared, of understanding the science behind these events, and of addressing factors that could be influencing their intensity. By studying these powerful storms, we can improve our forecasts and hopefully reduce the risk to communities. Let’s keep learning about these amazing and potentially destructive forces.

It’s a reminder of how important it is to work together, to be prepared, and to keep learning about these complex and dynamic systems. Stay safe out there!