Live Hurricane Tracking: NOAA Satellite View

P.Serviceform 76 views
Live Hurricane Tracking: NOAA Satellite View

Live Hurricane Tracking: NOAA Satellite View

Hey weather enthusiasts! Are you guys ready to dive deep into the fascinating world of hurricanes? We’re going to explore how we can track these powerful storms live using the incredible resources provided by the NOAA Hurricane Center and its satellite imagery. Buckle up, because we’re about to embark on a journey filled with cutting-edge technology, real-time data, and a whole lot of meteorological marvels. Let’s get started!

Unveiling the Power of NOAA Satellites

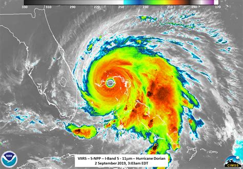
Alright, let’s talk about the stars of the show: the NOAA satellites. These aren’t just any satellites, folks; they’re our eyes in the sky, constantly monitoring Earth’s atmosphere and providing us with invaluable data. Imagine them as high-tech sentinels, always on the lookout for brewing storms. The National Oceanic and Atmospheric Administration (NOAA) deploys a fleet of satellites, including the GOES (Geostationary Operational Environmental Satellite) series, which are absolutely crucial for hurricane tracking. These satellites are strategically positioned to give us a constant view of the Western Hemisphere, where hurricanes are most likely to form and wreak havoc. The GOES satellites are essential for providing live, real-time data to predict the path and intensity of hurricanes.

Think about it: these satellites are orbiting at a speed that matches the Earth’s rotation, giving us a continuous view of the same area. This allows scientists and meteorologists to monitor weather patterns in real-time. Their advanced instruments capture images and data across various spectrums, providing us with information about cloud formations, sea surface temperatures, wind speeds, and even the amount of water vapor in the air. This information is crucial. This detailed information allows meteorologists at the NOAA Hurricane Center to analyze the storm’s structure and behavior. These satellites give us the tools to track hurricanes, understand their development, and ultimately, issue life-saving warnings. The data these satellites provide is the foundation upon which weather forecasts and hurricane predictions are built. Without these satellites, our ability to prepare for and respond to hurricanes would be significantly diminished. So, the next time you hear a hurricane warning, remember the amazing technology that’s working hard to keep us safe, all thanks to NOAA’s dedication to monitoring our planet. Pretty cool, right?

How NOAA Satellites Capture Hurricane Data

So, how do these incredible satellites actually see a hurricane? It’s pretty amazing, guys. These satellites use a variety of instruments to gather data. The most common tool is the imager, which captures visible and infrared light. The imager works by scanning the Earth’s surface and creating images that we can see. The visible light images are what you would expect – they show us what the clouds look like during the daytime. However, infrared imagery is where things get really interesting. Infrared sensors measure the temperature of the clouds and the Earth’s surface. Colder temperatures generally indicate higher altitudes, which can help us identify the areas with the most intense thunderstorms within a hurricane. This helps to determine the strength and size of the hurricane. Another important instrument is the sounder, which measures the temperature and moisture content of the atmosphere. The sounder provides valuable information about the vertical structure of the atmosphere, which is important for understanding how a hurricane is developing. The satellites also carry sensors that measure the amount of radiation emitted by the Earth’s surface. This data can be used to estimate sea surface temperatures, which is a major factor in hurricane development. Additionally, the satellites can detect lightning strikes, which can indicate the presence of thunderstorms in a hurricane. Together, these different types of data are combined to create a comprehensive picture of the hurricane. It’s like having multiple eyes on the storm, each providing a different perspective. Then, the NOAA Hurricane Center’s experts analyze all of this data to create accurate forecasts and issue timely warnings. Pretty advanced stuff!

Decoding the NOAA Hurricane Center’s Live Tracking Tools

Now that we know how NOAA satellites collect the data, let’s talk about how the NOAA Hurricane Center uses that information to track hurricanes. The NOAA Hurricane Center is the hub for all things hurricane-related, and they have some fantastic tools available to the public. These tools allow us to track hurricanes in real-time and stay informed about their potential impacts. Their website is a treasure trove of information, providing access to satellite imagery, forecast tracks, and even detailed discussions about the storms.

One of the most valuable resources is the satellite imagery . You can find this data on the NOAA website. These images are updated frequently, and allow you to see exactly where the storm is, and how it is moving. You can view images in visible light, which gives you a visual of the storm’s clouds, or in infrared, which helps you see the temperature of the clouds and sea surface. Another useful tool is the forecast track. This is a map that shows the predicted path of the hurricane. It also indicates the potential intensity of the storm and the areas that may be impacted. The forecast track is updated regularly, based on the latest data and models. The NOAA Hurricane Center also provides detailed discussions of the storm, including its current status, the factors influencing its development, and the potential impacts. They also provide regular updates on the latest warnings and advisories. These updates are a crucial part of staying informed about a hurricane. The NOAA website is also a great place to find information about potential hazards, such as storm surge, heavy rainfall, and tornadoes. They also provide tips on how to prepare for a hurricane and what to do if you are under a hurricane warning. So, to sum it up: The NOAA Hurricane Center website is an amazing resource. It is designed to keep you informed about hurricanes, in a clear and easy-to-understand way.

Key Features of the NOAA Hurricane Center Website

So, what exactly can you find on the NOAA Hurricane Center website? Here’s a quick rundown of the key features:

  • Satellite Imagery: As mentioned earlier, this is where you can find real-time images of the hurricane. You can view these images in visible light or infrared. This will help you to visualize the storm’s cloud formations and monitor its movement.
  • Forecast Tracks: These maps show the predicted path of the hurricane, including its potential intensity and areas that could be impacted. These tracks are regularly updated based on the latest data.
  • Watches and Warnings: The website provides information on any watches or warnings that are in effect for a particular area. It is important to pay close attention to these warnings and take action if necessary.
  • Discussions: The NOAA Hurricane Center provides detailed discussions about the storm, including its current status, the factors influencing its development, and the potential impacts. They also provide regular updates on the latest warnings and advisories.
  • Hazard Information: You can find information about potential hazards associated with the hurricane, such as storm surge, heavy rainfall, and tornadoes. This information will help you prepare for the storm.
  • Preparation Tips: The website also provides tips on how to prepare for a hurricane. This includes how to secure your home, create an emergency kit, and develop a family evacuation plan. It’s all about being ready for the storm.
  • Interactive Maps: The website often includes interactive maps that allow you to explore the storm’s impact in a particular area. These maps are a great way to visualize the potential effects of the hurricane.

Understanding Hurricane Data and Terminology

Alright, let’s break down some of the jargon and data you’ll encounter when following a hurricane. Understanding the terminology is super important. When you’re tracking a hurricane, you’ll see terms like