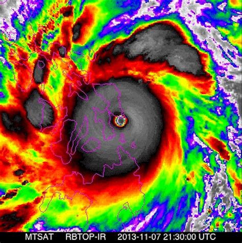
Lowest Pressure Hurricane Ever Recorded

P.Serviceform 20 views
Lowest Pressure Hurricane Ever Recorded

The Lowest Pressure Hurricane Ever Recorded

Hey guys! Ever wondered what the absolute most intense hurricane on record looks like? We’re talking about the kind of storm that makes every other hurricane seem like a gentle breeze. Today, we’re diving deep into the lowest pressure hurricane ever recorded , a truly mind-blowing meteorological phenomenon that pushed the limits of what we thought was possible for a tropical cyclone. When we talk about the ‘lowest pressure’ in a hurricane, we’re essentially talking about its intensity . Think of it like a vacuum cleaner; the stronger it is, the more it sucks things in, and the lower the pressure gets at its center. This intense low-pressure system is what drives those incredibly powerful winds and makes hurricanes so destructive. The record holder for the lowest barometric pressure ever recorded in a hurricane is Typhoon Tip . This monstrous storm raged across the western Pacific Ocean in October 1979 , and its sheer scale and intensity were unprecedented. To give you a sense of just how extreme Tip was, its central pressure dropped to an astonishing 870 millibars (hPa) . That’s lower than any other tropical cyclone ever observed, making it the undisputed king of hurricane intensity. This wasn’t just a storm; it was a force of nature that dwarfed everything around it. The implications of such a low pressure are profound, leading to record-breaking winds and an unparalleled destructive potential that scientists are still studying today. Understanding these extreme events helps us better prepare for and mitigate the impacts of future powerful storms, guys. It’s a crucial part of our ongoing efforts to build resilience against the increasingly severe weather patterns we’re witnessing globally.

Delving Deeper into Typhoon Tip’s Fury

So, what exactly does a pressure of 870 millibars mean, and why is it so significant? To put it into perspective, the standard atmospheric pressure at sea level is around 1013.25 millibars. When a storm’s pressure plummets to 870 millibars, it indicates an incredibly intense and powerful storm system. This massive drop in pressure creates a strong pressure gradient, which is the driving force behind hurricane winds. The steeper the pressure gradient, the faster the air rushes towards the center, resulting in higher wind speeds. Typhoon Tip was not only the most intense storm in terms of pressure but also the largest tropical cyclone on record. Its wind field expanded to an astonishing diameter of over 1,300 miles (2,200 kilometers) at its peak. Imagine a storm system so vast that it could cover a significant portion of the United States! The winds associated with Tip were also record-breaking. While the sustained winds were estimated to be around 190 mph (305 km/h), the gusts were likely even higher. This colossal storm made landfall in the Philippines and Japan, causing widespread devastation. The Philippines experienced severe flooding and wind damage, while Japan was hit by a combination of strong winds, heavy rainfall, and storm surge, leading to numerous fatalities and significant economic losses. The scientific community was in awe of Typhoon Tip, not just for its record-breaking low pressure but also for its immense size and the complex meteorological processes that led to its formation and intensification. Studying such extreme events is crucial for improving our understanding of tropical cyclone dynamics, enhancing forecasting models, and ultimately, saving lives.

The Science Behind Extreme Low Pressure

Understanding how a hurricane achieves such an incredibly low central pressure, like the 870 millibars of Typhoon Tip , requires us to look at the fundamental physics of these powerful storms. At its core, a hurricane is a heat engine. It draws energy from the warm ocean waters, typically above 80°F (26.5°C). As warm, moist air rises from the ocean surface, it cools and condenses, forming clouds and releasing latent heat. This heat release warms the surrounding air, making it less dense and causing it to rise further, creating a powerful updraft. As air rises at the center, more air from the surrounding environment is drawn in towards the low-pressure center to replace it. This continuous inflow of air, combined with the Earth’s rotation (the Coriolis effect), causes the storm to spin. The more efficient this heat engine is, and the more heat energy it can extract from the ocean, the lower the central pressure can become. Several factors contribute to the development of extreme low-pressure systems like Typhoon Tip. Firstly, warm ocean temperatures are paramount. Typhoon Tip formed over exceptionally warm waters in the western Pacific, providing an abundant source of energy. Secondly, low vertical wind shear is crucial. Wind shear is the change in wind speed and direction with height. If there’s high wind shear, it can disrupt the storm’s vertical structure, preventing it from organizing and intensifying. Low shear allows the storm to maintain its organized structure, facilitating efficient heat transfer and pressure drop. Thirdly, atmospheric instability plays a role, allowing air to rise readily. Finally, favorable upper-level outflow is essential. This refers to the ability of air to escape from the top of the storm. If the air can escape efficiently, it helps to maintain the low pressure at the surface and allows the storm to continue intensifying. Typhoon Tip benefited from a near-perfect confluence of these conditions, allowing it to reach an intensity never before witnessed, guys. It’s a testament to the immense power that can be unleashed when the right atmospheric ingredients come together.

Impact and Legacy of the Lowest Pressure Hurricane

The impact of Typhoon Tip, the lowest pressure hurricane ever recorded , extended far beyond its immediate landfall. The sheer scale and intensity of this super typhoon left an indelible mark on the regions it affected and on the field of meteorology itself. In the Philippines, the storm’s passage brought torrential rains and powerful winds, leading to significant flooding and landslides. Coastal communities were battered by storm surges, causing extensive damage to infrastructure and homes. Similarly, Japan experienced a devastating blow. The storm’s massive size meant that a large area of the country was subjected to hurricane-force winds for an extended period. Heavy rainfall triggered widespread flooding and mudslides, particularly in mountainous regions. The combination of extreme winds, torrential rain, and storm surge resulted in a tragic loss of life, with hundreds confirmed dead and many more missing. The economic impact was also substantial, with significant damage to agriculture, fisheries, and infrastructure. Beyond the immediate devastation, Typhoon Tip’s legacy is deeply rooted in its contribution to our understanding of tropical cyclones. Its record-breaking low pressure and immense size provided invaluable data for meteorologists and atmospheric scientists. Researchers were able to study the storm’s structure, dynamics, and evolution in unprecedented detail, leading to significant advancements in hurricane forecasting and modeling. The data collected from Tip helped refine theories about the maximum potential intensity of tropical cyclones and the atmospheric conditions that favor their development. It underscored the importance of monitoring these massive storm systems and the need for robust disaster preparedness and response strategies. The memory of Typhoon Tip serves as a potent reminder of the destructive power of nature and the critical need for continued scientific research and international cooperation in addressing the challenges posed by extreme weather events. It truly was a storm that reshaped our understanding of what was possible, guys, and its lessons continue to guide us in building a more resilient future against the fury of the tropics.

Factors Contributing to Unprecedented Intensity

We’ve touched on this a bit, but let’s really break down the specific conditions that allowed Typhoon Tip to achieve its unprecedented intensity , making it the lowest pressure hurricane ever . It wasn’t just one thing; it was a perfect storm of favorable atmospheric and oceanic conditions that aligned in a way that scientists still marvel at. First and foremost, exceptionally warm sea surface temperatures were a massive contributor. Tip formed over a vast expanse of the western Pacific Ocean that was significantly warmer than average, providing an almost limitless fuel source for the developing storm. We’re talking temperatures well into the upper 80s Fahrenheit (around 30-31°C), which is prime territory for tropical cyclone intensification. Secondly, remarkably low vertical wind shear allowed the storm to organize and strengthen without being torn apart. Imagine trying to build a sandcastle while waves are constantly crashing over it – that’s what high wind shear does to a hurricane. In Tip’s case, the winds at all levels of the atmosphere were relatively uniform, allowing the storm’s structure to remain intact and its heat engine to run efficiently. Thirdly, a well-established upper-level anticyclone acted like a powerful exhaust fan, drawing air away from the storm’s core at the top. This efficient outflow is critical for maintaining the low pressure at the surface. Think of it this way: if air can’t escape from the top, the storm essentially suffocates itself. Tip had a strong, persistent anticyclone overhead, which facilitated rapid intensification. Fourthly, the storm’s large size itself contributed to its intensity. While it might seem counterintuitive, larger storms can sometimes tap into a broader and deeper supply of warm, moist air from the ocean, leading to more sustained intensification. Tip was a behemoth, and this massive circulation allowed it to maintain its core intensity over a longer period. Lastly, the storm’s track over open ocean for a significant period allowed it to mature and intensify without encountering landmasses that would disrupt its structure or cut off its fuel supply. It spent ample time over the warm Pacific waters, reaching its peak intensity before impacting populated areas. This confluence of extreme warmth, lack of disruptive winds, efficient outflow, and unimpeded development over the ocean created the perfect recipe for the lowest pressure hurricane ever recorded . It’s a stark reminder of the immense power the ocean and atmosphere can generate when conditions are just right, guys.

Conclusion: Lessons from the Deepest Storms

Typhoon Tip, the storm that holds the undisputed record for the lowest pressure hurricane ever recorded , stands as a monumental testament to the raw power of nature. Its central pressure of 870 millibars is not just a number; it represents a meteorological event of unparalleled intensity, a storm so powerful it reshaped our understanding of tropical cyclone potential. The devastating impacts on the Philippines and Japan served as a stark and tragic reminder of the destructive force these storms can unleash. Beyond the immediate destruction and loss of life, the legacy of Typhoon Tip is profoundly significant for the scientific community. The wealth of data gathered during its existence has been instrumental in advancing our knowledge of atmospheric dynamics, improving forecasting models, and refining our understanding of the factors that contribute to extreme storm formation and intensification. It highlighted the critical role of warm ocean waters, low vertical wind shear, and efficient upper-level outflow in creating such monstrous cyclones. As we face an era of potentially intensifying extreme weather events due to climate change, studying storms like Typhoon Tip becomes even more crucial. They provide invaluable insights into the upper limits of storm intensity and help us prepare for future threats. The lessons learned from this record-breaking storm underscore the importance of robust early warning systems, effective disaster preparedness, and ongoing scientific research. Understanding these extreme phenomena is not just an academic pursuit; it is a vital component of protecting lives and livelihoods in vulnerable regions around the globe. So, while Typhoon Tip may be a historical event, its impact and the knowledge we’ve gained continue to shape our approach to hurricane science and safety, guys. It’s a powerful reminder that while we can’t control the weather, we can certainly strive to understand it better and prepare more effectively for its most extreme expressions.